We left Shelter Bay Marina and headed to Green Turtle Cay Marina about 7 hours away. There wasn’t a lot of wind, so it was a motor the whole way. Green Turtle Cay is a very small older marina, but it is safe, cheap and has a good restaurant.





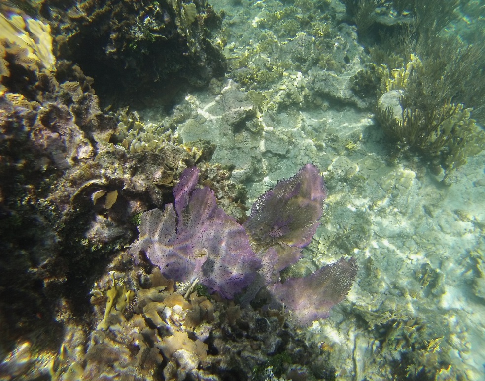
The next day was West Holandes Islands in the San Blas Islands. Dave found a great anchorage with only one other boat around. There was a very small island near that had only had one tree one it. Our neighbor was a 300 foot mega yacht. There was fantastic snorkeling with huge brain coral and a lot of fish.










Awesome Snorkeling










lovely! Looks fabulous
LikeLiked by 1 person
Oh man, I love snorkeling!
LikeLiked by 1 person
This was an amazing experience and anchorage! Loved sailing with Mary and Dave!
LikeLike